ทช.ลุยแผนแก้รถติดสนามบินสุวรรณภูมิ ศึกษาโครงข่ายถนนสมุทรปราการ - ฉะเชิงเทรา แถมรองรับขยสยเมืองในอนาคต

วันอังคารที่ 06 กุมภาพันธ์ พ.ศ. 2567

ทช.ลุยแผนแก้รถติดสนามบินสุวรรณภูมิ ศึกษาโครงข่ายถนนสมุทรปราการ - ฉะเชิงเทรา แถมรองรับขยสยเมืองในอนาคต


กรมทางหลวงชนบท ศึกษาความเหมาะสม โครงข่ายถนนเพื่อแก้ไขปัญหาจราจรบริเวณสนามบินสุวรรณภูมิ จ.สมุทรปราการ, ฉะเชิงเทรา สนับสนุนการเชื่อมต่อระบบขนส่งอย่างเป็นระบบ รองรับการขยายตัวของเมืองในอนาคต พร้อมจัดประชุมรับฟังความคิดเห็น ให้สอดคล้องกับความต้องการของประชาชนในพื้นที่

กรมทางหลวงชนบท (ทช.) ดำเนินโครงการศึกษาความเหมาะสม โครงข่ายทางหลวงชนบทเพื่อแก้ไขปัญหาจราจรบริเวณสนามบินสุวรรณภูมิ จังหวัดสมุทรปราการ, ฉะเชิงเทรา เพื่อแก้ไขปัญหาการจราจรในเขตกรุงเทพมหานครและปริมณฑล สนับสนุนการเชื่อมต่อระบบขนส่งอย่างเป็นระบบ ทั้งทางราง ทางอากาศ ทางบก พัฒนาโครงข่ายทางหลวงชนบทให้สมบูรณ์ ด้วยการสร้างทางเชื่อม เป็นการพัฒนาศักยภาพให้พื้นที่ รองรับการขยายตัวของชุมชนเมืองในอนาคต พร้อมจัดประชุมรับฟังความคิดเห็นของประชาชน เพื่อให้สอดคล้องกับความต้องการ และเป็นประโยชน์ต่อประชาชนในพื้นที่ให้มากที่สุด 

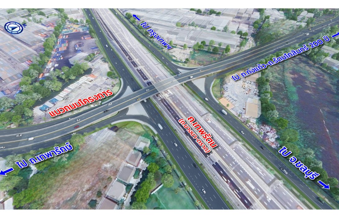
ปัจจุบันโครงข่ายถนนในพื้นที่จังหวัดสมุทรปราการและจังหวัดใกล้เคียง โดยเฉพาะบริเวณสนามบินสุวรรณภูมิ และ ทล.34 (ถนนบางนา – ตราด) มีปริมาณการจราจรที่หนาแน่นและติดขัดเป็นอย่างมาก เนื่องจากอยู่ในพื้นที่ที่มีอัตราการเจริญเติบโตทางเศรษฐกิจที่สูง ทช.จึงได้ดำเนินโครงการศึกษาความเหมาะสม โครงข่ายทางหลวงชนบทเพื่อแก้ไขปัญหาจราจรบริเวณสนามบินสุวรรณภูมิ จังหวัดสมุทรปราการ, ฉะเชิงเทรา ซึ่งเป็นการศึกษาข้อมูลแนวถนนโครงการ การออกแบบงานทาง งานสำรวจพื้นที่โครงการเบื้องต้น งานศึกษาผลกระทบทางด้านวิศวกรรมจราจรบริเวณถนนโครงการและส่วนต่อเนื่อง งานสำรวจและจัดเก็บข้อมูลด้านการจราจร งานแนวสายทาง/รูปแบบโครงการเบื้องต้น ควบคู่ไปกับงานออกแบบงานทาง การวิเคราะห์ผลทางด้านการลงทุน ซึ่งคาดว่าจะได้ข้อสรุปในเดือนกุมภาพันธ์ 2567 ต่อไป โดยพื้นที่ศึกษาของโครงการเบื้องต้นครอบคลุมพื้นที่ 2 จังหวัด 4 อำเภอ ประกอบด้วย จังหวัดสมุทรปราการ 2 อำเภอ คือ อำเภอบางพลี และอำเภอบางบ่อ ในส่วนของจังหวัดฉะเชิงเทรา 2 อำเภอ คือ อำเภอบางปะกง และอำเภอบ้านโพธิ์ มีการแบ่งพื้นที่ศึกษาโครงการออกเป็น 2 ช่วง ดังนี้

ช่วงที่ 1 เป็นการเชื่อมต่อโครงการถนนเชื่อมต่อ ทล.3268 (ถนนเทพารักษ์) กับ ทล.34 (ถนนบางนา – ตราด) อำเภอบางพลี จังหวัดสมุทรปราการ ถึงโครงการถนนสายประชาราษฎร์อุทิศ – ถนนรัตนโกสินทร์ 200 ปี จังหวัดสมุทรปราการ ซึ่งโครงการช่วงที่ 1 อยู่บริเวณพื้นที่จังหวัดสมุทรปราการ 

ช่วงที่ 2 เป็นการเชื่อมต่อโครงการถนนสายประชาราษฎร์อุทิศ – ถนนรัตนโกสินทร์ 200 ปี จังหวัดสมุทรปราการ ไปยัง ทล.314 จังหวัดฉะเชิงเทรา อยู่บริเวณพื้นที่จังหวัดฉะเชิงเทรา โดยผ่านโครงการ ทล.1 – ทล.3 จังหวัดสระบุรี, ปทุมธานี, ฉะเชิงเทรา, กรุงเทพมหานคร และสมุทรปราการ

ทั้งนี้ ทช. ได้จัดประชุมรับฟังความคิดเห็นของประชาชน กลุ่มเป้าหมาย หน่วยงานที่เกี่ยวข้อง ผู้นำชุมชน ผู้แทนกลุ่มต่าง ๆ ในพื้นที่ เพื่อนำเสนอผลสรุปแนวเส้นทางและรูปแบบโครงการ มาตรการป้องกันและแก้ไขผลกระทบด้านสังคมและการใช้ประโยชน์ที่ดิน รวมทั้งผลการดำเนินงานด้านการมีส่วนร่วมของประชาชนที่ผ่านมา ตลอดจนได้รับฟังความคิดเห็น เพื่อนำผลมาประกอบการศึกษาให้มีความเหมาะสมมากยิ่งขึ้นและสอดคล้องกับความต้องการของประชาชนในพื้นที่ให้มากที่สุด โดยได้มีการจัดประชุมรับฟังความคิดเห็นของประชาชนไปแล้ว จำนวน 4 ครั้ง ซึ่ง ทช. ได้นำความคิดเห็นดังกล่าวมาประกอบในการดำเนินงานเพื่อให้เป็นไปตามวัตถุประสงค์และตรงตามความต้องการของประชาชนที่เกี่ยวข้องต่อไป 



บริษัท สมาร์ท โกลด์ มีเดีย กรุ๊ป จำกัด SMART GOLD MEDIA GROUP CO.,LTD. ติดต่อสอบถาม โทร : 0893284192 , ID Line : @siamturakij และ ฝ่ายโฆษณา siamturakijadvertising@gmail.com
© 2013 สยามธุรกิจ